์๊ฐ ์ ์ข์ผ๋ฉด ์๋ถ ์ํ๊ธฐ ๋ฌธ์ . ์ฅ์ด ์ ์ข์ผ๋ฉด ํ๋ถ ์ํ๊ธฐ ๋ฌธ์ .
[1์ฃผ์ฐจ]
- ๊น๋ด2(A) - 1.1 Sialocele(์นจ์์ข ), Salivary mucocele(์นจ์์ ์ก์ข )
- ๊น๋ด2(A) - 1.2 Sialoadenosis (ํ์ก์ ์ฆ)
- ๊น๋ด2(A) - 1.3 Oral Cavity Neoplasm (๊ตฌ๊ฐ ์ข ์) (1)
[2์ฃผ์ฐจ]
- ๊น๋ด2(A) - 1.3 Oral Cavity Neoplasm (๊ตฌ๊ฐ ์ข ์) (2)
- ๊น๋ด2(A) - 1.4 Gingivitis(์น์ฃผ์ผ) & Periodontitis(์น์์ผ)
- ๊น๋ด2(A) - 1.5 Stomatitis (๊ตฌ๋ด์ผ)
- ๊น๋ด2(A) - 1.6 Congenital esophageal weakness
[3์ฃผ์ฐจ]
- ๊น๋ด2(A) - 1.7 Acquired Esophageal Weakness
- ๊น๋ด2(A) - 1.8 Esophagitis (์๋์ผ)
- ๊น๋ด2(A) - 1.9 Hiatal Hernia (์๋์ด๊ณต ํ์ฅ)
- ๊น๋ด2(A) - 1.10 Dysautonomia (์์จ์ ๊ฒฝ๊ณ ์ด์์ฆ)
- ๊น๋ด2(A) - 1.11 Vascular ring anomalies (VRA)
Upper GI (์๋ถ ์ํ๊ธฐ)
- Mouth/Pharynx/Esophagus
- Stomach
Lower GI
- Small intestine : Duodenum(์ญ์ด์ง์ฅ)/ Jejunum(๋น์ด์์ด์ ๊ณต์ฅ)/Ileum(๋์์ ๋์ฅ์ผ๋ก ์ฐ๊ฒฐ)
- Large intestine : Cecum(๋งน์ฅ)/ Colon(๊ฒฐ์ฅ, ์ค์)/ Rectum(์ง์ฅ)/ Anus
- ์ฌ๋์์๋ S์ ๊ฒฐ์ฅ์ด ์์ง๋ง, ๊ฐ๋ ๊ณ ์์ด๋ ๊ทธ๋ ์ง ์๊ธฐ ๋๋ฌธ์..
- ์ฌ๋์ ๋์ฅ๋ด์๊ฒฝ์์๋ flexibleํ type์ ์ฐ์ง๋ง, ๊ฐ์ ๊ณ ์์ด์์๋ ์ผ์๋ก ๋ rigid type์ ์ฌ์ฉํ๋ค.
1.1 Sialocele(์นจ์์ข ), Salivary mucocele(์นจ์์ ์ก์ข )
Etiology
- ์นจ์์ด ํฐ์ง๊ฑฐ๋ ํด์ ํ์ก์ด ํผํ์กฐ์ง์ ์นจ์ฐฉ๋์ด ์๋ ์ํ. (Accumulations of saliva in subcutaneous tissues)
Salivary glands
4 major pairs of salivary glands
- Parotid glands(๊ท๋ฐ์), ๊ท ์๋, ๋ง์ ์ฅ์ก์ฑ ์นจ์ ๋ถ๋น.
- Mandibular glands (ํฑ์, ํ์ ์), ํผํฉ์์ด์ง๋ง ์ ์ก์ฑ์ด ๋ ๋ง์.
- Sublingual glands (ํ๋ฐ์, ์คํ์)
- Zygomatic glands (๊ด๋์) : ๊ด๋๋ผ(zygomatic arch) ์์ชฝ, periorbital fat ๋ณด๋ค ์๋.
- ๊ณ ์์ด๋ ํด๋ถํ์ ์ผ๋ก ๊ฐ๋ณด๋ค๋ ์ข ๋ ์์ชฝ์ ์์ด, ๊ฒฉํ๊ฒ ๊ธํ๋ฉด ์ธ์์ฑ์ผ๋ก zygomatic gland์ ํ์ด์ด ๋ํ๋ ์๋ ์๋ค.
Cause
- ์นจ์ ํ์ด ๋๋ ์นจ์๊ด์ ๋งํ. (Salivary duct obstruction +/- rupture)
- Traumatic : ๊ฐ์ฅ ํํ ๊ฒ ์ธ์.
- Idiopathic : ์ธ์์ด ์๋๋ฉด ๋์ฒด๋ก ํน๋ฐ์ฑ
- Sialolith(ํ์; salivary duct์ ๊ฒฐ์), inflammation, mass, surgery complications : ๋๋ฌธ ์ผ์ด์ค
* ํน๋ฐ์ฑ์ ๋ฏธ๋ฆฌ ๊ณ ์ง๋์ด์ผ ํจ. ๋ฐฐ์ ์ฉ์ผ๋ก ๋ค์ํ ์ง๋จ์ ๊ฑฐ์ณ์ผ ํ๋ค๋ ์ฌ์ค์ ๋ฏธ๋ฆฌ ์๋ ค์ค์ผ ํจ. ๋ฏธ๋ฆฌ ์ถฉ๋ถํ ์๊ณ ์ ํํ ์ ์๋๋ก.
Prevalence
- ๊ฐ์์๋ ํํ์ง ์๊ณ (uncommon), ๊ณ ์์ด์์๋ ๊ฑฐ์ ๋ณด๊ธฐ ํ๋ค๋ค(very rare).
Clinical Features
- ํฑ, ํ, ์ธ๋ ๋ฐ์ large swelling. ๋จ๋จํ์ง๋ง ํ๋๊ฐ์ด ์์ผ๋ฉด ์ข ์๋ณด๋ค๋ ํ์ก์ ์ข ์ ๊ฐ๋ฅ์ฑ์ด ๋๋ค.
- ์ฌํด์ง๋ฉด ํธ๋ฅธ๋น์ ๋ ๋ cyst(์ ์ก์ข )์ฒ๋ผ ๋ณด์ธ๋ค.
- Sublingulal์ ์๊ธด sialocele์ ํน๋ณํ ranula(ํ๋ง์ข
) ๋ผ๊ณ ํ๋ค.
- ํ๋ฐ์์ ์นจ์ ์ ์ก์ฑ์ด์ด์ ๋น๊ต์ ์ค๋ ๋จ์์๊ณ , ์๊ฐ์ด ์ง๋๋ฉด ์ผ์ฆ๋ ์ ๋ฐํ ์ ์์.
- ๋ํ ๋น ๋ฅด๊ฒ ๋ถํ์ด์ค๋ฅด๋ ํธ์ด๋ฉฐ, ํ ์๋๋ก ํ๋ฌ๋ค์ด๊ฐ ํ์ก์ด ๊ทผ๋ง์ ๋ซ๊ณ ํฑ ๋ฐ๊น์ง ๋ถํ์ด์ค๋ฅผ ์ ์์.
- ๋ฐ๋ผ์ ํฑ์ด ๋ถํ์ด์ค๋ฅด๋ฉด ํ์ ์๋ฟ ์๋๋ผ ํ๋ฐ์ ๋ค์ด ranula์ธ์ง ํ์ธํด์ผ ํจ!
- ๊ธฐ๋ณธ์ ์ผ๋ก non-painful. ๊ทธ๋ฌ๋ 2์ฐจ์ ์ธ ์ผ์ฆ์ด๋ ์กฐ์ง์ ๋์ด๋จ์ผ๋ก ์ธํด ํต์ฆ์ ๋๋ ์ ์๋ค.
- Dysphagia, gagging or dyspnea, anorexia
- Predisposition (dogs)
- 2-4์ด (์ธ์์ฑ์ด ๋ง์; ๊ฐ์ฅ ํ๊ธฐ์ฐฐ ๋)
- German shepherds, Miniature poodles
Diagnosis
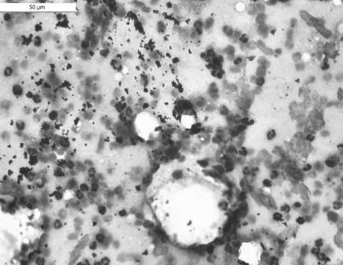
- Aspiration : ํก์ธ ๊ฒ์ฌ ๊ฒฐ๊ณผ ์นจ์ด๋ฉด ์นจ์์ข
์ผ๋ก ์ง๋จํด๋ ๋๋ค. cytology๋ง์ผ๋ก ์ง๋จ ๊ฐ๋ฅ.
- with a large-bore needle : ๋์ฒ๋ผ ์์ฃผ ๋์ ํ ์นจ์ด ๋์ค๊ธฐ ๋๋ฌธ์ 20g ์ ๋๋ ์จ์ผ ํ์ก์ด ๋์จ๋ค. ํ์ก์ ๋ฝ์ ๋์ฒ๋ผ 24g ๋ก ๋ฝ์ผ๋ฉด ์ฅ์ก๋ง ๋์ฌ ์๋ ์์.
- Thick fluid with some neutrophils : basophilicํ๊ฒ ์ผ์๋ mucus + ๊ณตํฌ๋ค (ํ์ก์ ์ฃผ๋ณ์ ๊ฑฐํ์ด ์๊ฒ ์์ผ๋ฏ๋ก) + segmented neutrophil์ด๋ RBC๋ ๊ด์ฐฐ๋ ์ ์์
- foamyํ cytoplasm์ ๊ฐ์ง ์ธํฌ = active macrophage. (์ค๋ฅธ์ชฝ ์ฌ์ง)


- Contrast sialography : ํ์ก์ ์กฐ์์ . ์์์์ ๊ฑฐ์ ์ฐ์ด์ง ์์. ๋ฐฐ์ ๋ฅผ ์ํ ๋ชฉ์ ์ผ๋ก ์์ฃผ ๋๋ฌผ๊ฒ.
Treatment
- ํ์ก์ด ๊ณ ์ฌ์๋ ๋ถ๋ถ์ ์ด์ด์ drainage (opened and drained) & ๋ฌธ์ ๊ฐ ๋๋ ์นจ์๋ ์ ๊ฑฐ(Salivary gland excision)
Prognosis
- Excellent : ์น๋ฃํ๋ฉด ์ฌ๋ฐ ์์ด ๊นจ๋์ด ๋์.
- ์นจ์์ ํ ์ข ๋ฅ๋ง ์์ง ์๊ณ , ์ฃผ๋ก ํ์ชฝ์ผ๋ก ๋ฐ์ํ๊ธฐ ๋๋ฌธ์, ์นจ์ ํ๋ ๋ ์ ๋๋ ํฐ ์ํฅ ์์.
1.2 Sialoadenosis (ํ์ก์ ์ฆ)
= ๋น์ผ์ฆ์ฑ ๋น์ข ์์ฑ ์นจ์ ๋น๋์ฆ
Etiology
- Unknown (Idiopathic/ neurological) : ํน๋ฐ์ฑ์ด๋, ์ ๊ฒฝ ๋ฌธ์ ๋ก ์๊ฐ๋จ.
- Chronic vomiting/regurgitation : ๊ตฌํ ๋ฅผ ์ค๋, ๋ง์ด ํ ํ์์๊ฒ์ ๋ง์ด ๋ํ๋จ. (์นจ์์ ๊ณ์ ์๊ทน์ด ๊ฐ์ ๋น๋)
Clinical Features
- Painless salivary gland(s) enlargement
- Dysphagia (์ ์ผํค๊ธฐ ์ด๋ ค์)
Phenobarbital-responsive sialoadenosis (PRS)
- Phenobarbital์ ์ ๋ฐ์ํ์ฌ ๊ธ์ธ ํธ์ ๋๋ ๊ฒฝ์ฐ.
- sialoadenosis ์ค์์ ๋๋ฌผ๊ฒ ํน๋ฐ์ฑ์ผ๋ก ์์.
- Bilateral, painless, noninflammatory, uniform, nonneoplastic enlargement
์์ธก์ฑ์ผ๋ก ๋ฐ์ํ๋ฉด์ ํต์ฆ์ด ์๊ณ , ๊ท ์ผํ๊ณ , ๋น์ผ์ฆ์ฑ/๋น์ข ์์ฑ์ผ๋ก ์นจ์์ด ๋น๋ํด ์๋ ํน์ง์ด ์์.- ํ์ ์(Mandibular gland)์ด ์์ธก์ฑ์ผ๋ก ๋ถ์ด์๋๋ฐ ์ผ์ฆ์ด ์๊ฑฐ๋.. ํ๋ฉด phenobarbital์ ๋จผ์ ์ฒ๋ฐฉํด๋ณผ ์ ์๋ค.
- phenobarbital : ํญ๊ฒฝ๋ จ์ , ๊ฐ์ ๋ถ๋ด์ด ๋ ์ ์์. ๋ฐ๋ผ์ ๋ณดํธ์์๊ฒ ์ฌ์ ๊ณ ์ง๋ฅผ ์ ํ์!
Phenobarbital-responsive sialoadenosis (PRS)
- Clinical Features
- ์์ธก์ฑ ์นจ์ ๋น๋ (Bilateral salivary gland enlargement)
- ์๊ตฌ๋์ถ(exophthalmos), ๊ตฌํ , ๊ฒ์๋(retching), ์ฉ์ฉ๊ฑฐ๋ฆผ(lip smacking), ์นจ์ ์ง์ง ํ๋ฆผ(salivation) ๋ฑ์ ์ฆ์์ด ๋ํ๋จ.
- Etiology
- Unclear, but limbic epilepsy๊ฐ ์์ธ์ผ๋ก ๋ฐ์๋ค์ฌ์ง๊ณ ์์.
- ์์จ์ ๊ฒฝ๊ณ ์กฐ์ ์ ๊ด์ฌํ๋ ๋ณ์ฐ๊ณ(limbic)์ ๊ฐ์ง์ฑ ํํ์ด ์๊ธฐ๋ฉด ์์จ์ ๊ฒฝ๊ณ ๊ต๋ โ ๋ถ๊ต๊ฐ์ ๊ฒฝ ํญ์ง โ ์นจ์์ด ์๊ทน๋๊ณ ํ์ก์ด ๊ณผ๋ค ๋ถ๋น๋จ.
- Dx
- Phenobarbital์ ์คฌ์ ๋ ํธ์ ๋๋ฉด ์ง๋จ ๊ฐ๋ฅ. (๋ค๋ฅธ ์์ธ์ด ์ถฉ๋ถํ ๋ฐฐ์ ๋ ํ ์์ฌ)
- CBC/biochemistry/urinalysis/imaging
- DDx
- ๊ตฌํ ๋ฑ๊ณผ ๊ฐ๋ณ : Neoplasm, esophagitis(์๋์ผ), pancreatitis(์ท์ฅ์ผ), IBD ๋ฑ
Diagnosis
- Cytology : ์ผ์ฆ ๋ฐฐ์ .
- Histopathology (biopsy) : ์ข ์ ๋ฐฐ์ .
- Underlying Dz for vomiting : ์ฝฉํฅ ๋ฑ ๋ค๋ฅธ ๊ตฌํ ์ ์์ธ๋ ๋ฐฐ์ .
Treatment
- ์์ ์ ์ ๊ฑฐ(surgical removal) - ๊ฐ์ฅ ํจ๊ณผ๊ฐ ์ข์.
- Phenobarbital (taper off after 3 months or long-term)
- ํ ๋ฒ์ ํจ๊ณผ๋ฅผ ๋ณด๋ ค๋ฉด 2-3ml, but ์์ ํ๊ฒ 1-2ml ๋จผ์ ํ๊ณ ์ข ๋ ์ฌ๋ ค๋ณด๋ ์ชฝ์ผ๋ก.
- ํจ๊ณผ๊ฐ ์๋ฉด 1-2์ฃผ ์์, ๋ณดํต 3์ผ ์ ๋๋ฉด ๋ถ์ข ์ด ๋ง๋ํด์ง๊ณ ์์์ง.
- ๋์ ๋๋ ๊ฐ์๊ธฐ ๋จ์ฝํ์ง ๋ง๊ณ , 1-2์ฃผ ๊ฐ๊ฒฉ์ผ๋ก tapering. ๊ฒฝ์ฐ์ ๋ฐ๋ผ ์ต์ ๋๋๋ก ํ์ ์ฝ์ ๋จน๊ธฐ๋ ํจ.
- Treatment for underlying cause of vomiting
Tip
- ์์ ์ ๋ด๊ณผ์ ์ฒ๋ฐฉ์ผ๋ก ํจ๊ณผ๋ฅผ ๋ณผ ์ ์์ผ๋ฉด ์ข์ผ๋๊น, ๋จผ์ phenobarbital์ ์๋ํด๋ณด๋ ๊ฑด ์ข๋ค!
- ๋จผ์ ๊ธฐ์ ์์ธ์ ๋ํ ์ถฉ๋ถํ ํ์ ์ด ํ์. ๊ทธ๋ฆฌ๊ณ ๋ณดํธ์์๊ฒ ์ถฉ๋ถํ ์ค๋ช ํด์ค์ผ ํจ. ๊ดํ ์ฝ์ ์ผ๋๋ฐ ํจ๊ณผ๋ ์๊ณ , ์น๋ฃ์ ์คํจํ ๊ฒ์ผ๋ก ์ฌ๊ฒจ์ง ์ ์์.
- ์ฌ์ ์ [๊ธฐ์ ์์ธ์ด ์๋ค โ ์์ ์ด ์ ์ผ ์ข์ผ๋, ์ด ์ฝ์ ๋ฐ์์ด ์์ ์ ์๋ค โ ์ฝ์ ๋จผ์ ์จ๋ณด๊ณ ์๋๋ฉด ์์ ํ์.] ๋ผ๊ณ ์ค๋ช ํด์ฃผ๊ธฐ~!
Prognosis
- Good to excellent (์ฌ๋ง์ ์ด๋ฅด๋ ์งํ์ด ์๋๋ฉฐ, ์ฝ์ ๊ณ์ ๋จน๊ธฐ ์ซ์ผ๋ฉด ๊ทธ๋ฅ ์์ ์ ์ ์ ๋ฅผ ์ ํํ ์๋ ์์.)
1.3 Oral Cavity Neoplasm (๊ตฌ๊ฐ ์ข ์)
[์์ฝ]
- ์ ์ฑ ์ข ์์ผ๋ก melanoma (ํ์์ข ), ์์ฑ ์ข ์์ผ๋ก Epulis
- ๊ณ ์์ด์์ ํํ์ง ์์ง๋ง, ๋ฐ์ํ๋ฉด ์ ์ฑ ๊ฐ๋ฅ์ฑ ๋์. (7-80%๊ฐ SCC(squamous cell carcinomas))
3-1. Oral Cavity Neoplasm in Dogs
Etiology
- ๋๋ถ๋ถ ์
์ฑ ์ข
์ (* Nomenclature : Malignant = -sarcoma / carcinoma)
- Melanoma (malignant)
- Squamous cell carcinoma
- Fibrosarcoma
- ๋๋จธ์ง ์์ฑ ์ข
์๋ค
- Epulis(์น์์ข
) : ์๋ชธ ์์ ์๊ธด ์ ์๋ฌผ์ ๋ค โ์น์์ข
(epulis)โ. ๊ทธ๋ฌ๋ ์กฐ์งํ์ ์ผ๋ก 3์ข
๋ฅ๋ก ๋ถ๋ฅ๋จ.
- Acanthomatous ameloblastomas (AA) (a.k.a. Acanthomatous epulis)
- Peripheral odontogenic fibroma (POF) (a.k.a. Fibromatous epulis) (Boxers)
- POF-ossifying type (a.k.a. Ossifying epulis)
- Papillomatosis (์ ๋์ข ์ฆ, ์์ฑ)
- Eosinophilic granuloma (Siberian Huskie, Cavalier King Charles Spaniel) : ์์ฑ
- Epulis(์น์์ข
) : ์๋ชธ ์์ ์๊ธด ์ ์๋ฌผ์ ๋ค โ์น์์ข
(epulis)โ. ๊ทธ๋ฌ๋ ์กฐ์งํ์ ์ผ๋ก 3์ข
๋ฅ๋ก ๋ถ๋ฅ๋จ.
| Epulis์ ์กฐ์งํ์ ๋ถ๋ฅ (2014-) |
|---|
| Acanthomatous ameloblastomas (AA) = Acanthomatous epulis |
| ์น์์ ๊ฐ์ฅ ๋ฐ๊นฅ์ชฝ์ ์๋ ๋ฒ๋์ง(์ ๋๋ฉ์ง)์ ๋ชจ์ธํฌ์ ์๊ธด + ๊ฐ์์ธํฌ(์ํผ์ธํฌ) ๊ด๋ จ ์ข
์. ์ด๋นจ์ ๋นผ๊ณ ์น์ฃผ์ธ๋๋ฅผ ๊ธ์ด๋ด์ ์น๋ฃ. ๋ผ์ ์นจ์ตํ ์ ์์ด์ ๋ฐ์ํ ์์น์ ๋ผ(ํ์ ๋๋ ์์ ) ์ ์ ํ์. (์์ฑ์ด์ง๋ง ๊ณจ์ตํด๋ฅผ ํฌํจ) |
| Peripheral odontogenic fibroma (POF) = Fibromatous epulis |
| ์ฌ์ ์์ ๊ธฐ์, ์์ ์์ฑ. ๋ฐ์นํ๊ณ ์น์ฃผ์ธ๋๋ง ์ ๊ฑฐํ๋ฉด ๋จ. |
| POF-ossifying type = Ossifying epulis |
| fibroma์ ์ํ์ง๋ง ์ฃผ๋ณ ๊ณจํ๊ฐ ์์. ์นฉ์ตํ์ง๋ ์์. ์ญ์ ์น์ฃผ์ธ๋๊น์ง ์ ๊ฑฐํ๋ฉด ๋์ง๋ง, ๊ณจํ๋ก ์ธํด ๋์ด๋ ์์น. |


Clinical Features
- Halitosis (๊ตฌ์ทจ)
- Dysphagia (์ฐํ๊ณค๋)
- Bleeding (์ถํ)
- Growth protruding from the mouth (์ ์ชฝ์์ ๋์ถ๋จ)
Diagnosis
- ๊ตฌ๊ฐ ๊ฒ์ฌ (Oral cavity examination) : Gingiva, tonsillar, hard palate, tongue
- ํ๋ฟ๋ง ์๋๋ผ ์ ์ฒ์ฅ - ๊ฒฝ๊ตฌ๊ฐ, ํ๋ฟ๋ฆฌ, ํธ๋๊น์ง ๋ค ๊ผผ๊ผผํ ํ์ธ.
- FNA (Cytologic analysis)
- Mass and regional LN : ๊ตฌ๊ฐ ์ข ์์ ์ ์ฑ์ธ ๊ฒฝ์ฐ๊ฐ ๋ง์ผ๋ฏ๋ก, ๊ตญ์ ๋ฆผํ์ ์ ๋ํ FNA๋ ๊ฐ์ด ์ํ.
- Histopathology (definitive dx: ํ์ง์ ์ํ ์กฐ์ง ๊ฒ์ฌ)
- Incisional biopsy
- ํ๋ถ ๋ฐฉ์ฌ์ (Thoracic radiographs) : ํ ์ ์ด ์ฌ๋ถ ํ์ธ
- ๊ฑฐ์ ์์ง๋ง ๋ง์ฝ ์ ์ด๊ฐ ๋ฐ์ํ๋ฉด ์์ฃผ ์ฌ๊ฐ(very poor prognostic sign)
- ํ์ ์ ์ด๋๋๊ฑด ๊ตฌ๊ฐํ์์ข ๋ฐ์ ์๋๋ฐ, ์ํ๊ฐ ๊ฐ์ฅ ์ ์ข์ ์ข ์.
- Computed tomography (CT)
- Maxillary and mandibular imaging - ๋ผ์ ์นจ์ต(bony involvement)์ด ์๋์ง ๋ณด๊ณ , ํ์ ์ ๋ผ๋ฅผ ์ ์ ํด์ผ ํจ.
๊น๋ด2(A) - Canine Melanoma
Melanoma
- Tumor of melanocytes - Melanin์ ๋ง๋๋ ์ธํฌ(melanocytes)์์ ์๊ธด ์ข ์
- ์์ฑ&์ ์ฑ ๋ ๋ค ๊ฐ๋ฅ, ์กฐ์ง ๊ฒ์ฌ๋ก ์ง๋จ.
- Melanoticํ ๊ฒฝ์ฐ cytology์์ ํน์ด์ ์ผ๋ก ๋ณด์ด์ง๋ง (melanocyte ์์ ๊น๋ง pigmentation)
- ๊ฒ๊ฒ ์นจ์ฐฉํ์ง ์๋ ๊ฒฝ์ฐ๋ ์์ผ๋ฏ๋ก(amelanotic) ๋ฐ๋์ ์กฐ์ง ๊ฒ์ฌ!
Behavior with Locations
- Benign : ํผ๋ถ์ ์๊น, ์์ฑ.
- Malignant : ๋นจ๋ฆฌ ์๋ผ๋ ํผ๋ถ์ ์๊น, ์ ์ฑ, ์ํ๊ฐ ์ ์ข์.
- ๋นจ๋ฆฌ ์๋ผ๋ ์ธํฌ : oral cavity, mucocutaneous ๊ฒฝ๊ณ๋ถ, nailbed(์ํฑ์ด ์๋ผ๋ ๋ฟ๋ฆฌ ๋ถ๋ถ).
- Malignant melanoma๋ผ๊ณ ํ๋ฉด ๋ฌด์กฐ๊ฑด ์ด ์ ์ค ํ๋์ ์๊ธด ๊ฒ.
Canine malignant ORAL melanoma
Melanoma์ ๋ณ๊ธฐ
- 1๊ธฐ : 2cm ๋ฏธ๋ง์ด๊ณ ๋ฆผํ์ (LN) ์ ์ด, ์๊ฒฉ ์ ์ด(metastasis)๊ฐ ์์.
- 2๊ธฐ : 2-4cm, LN ์ ์ด์ ์๊ฒฉ ์ ์ด๊ฐ ์์.
- 3๊ธฐ : 4cm ์ด์, LN ์ ์ด ์์, ์๊ฒฉ ์ ์ด ์์.
- 4๊ธฐ : LN ์ ์ด์ ์๊ด์์ด ์๊ฒฉ ์ ์ด๊ฐ ์์. (ex-ํ์์ ์ ์ด ๋ฐ๊ฒฌ)
- Grow rapidly (> 2cm) : ๋งค์ฐ ๋นจ๋ฆฌ ์๋ผ๋ฏ๋ก ๋ณดํต 2๊ธฐ(2cm ์ด์)์ผ ๋ ๋ด์
- ๋นจ๋ฆฌ ์๋ผ๋ฉด์ ๊ถค์์ด ์๊น(ulcerated)
- Amelanoticํ ๊ฒฝ์ฐ์ฒ๋ผ, ํญ์ ํ์์ธ ๊ฒ์ ์๋ (variable pigmentation)
Canine MALIGNANT melanoma (oral ํฌํจํ ์ ์ฒด)
- Very aggressive
- ์ ์ด์จ 30-75% (oral 80-90%)
- ๊ตญ์ ์ฌ๋ฐ๋ณด๋ค๋ ๋ฆผํ์ ์ด๋ ํ๋ก์ ์ ์ด๊ฐ ๋ง์ (Lungs or local lymph nodes > local recurrence)
- ๋ณดํธ์๋ ๊ตฌ๊ฐ ์ฌ๋ฐ๋ง ์ ๊ฒฝ์ฐ๋ฏ๋ก, ํ ์ดฌ์์ด ์ฃผ๊ธฐ์ ์ผ๋ก ํ์ํ๋ค๋ ๊ฑธ ๊ฐ์กฐํด์ผ ํจ.
- Guarded prognosis : ์ํ ๋งค์ฐ ์ ์ข์.
- ์ ์ด๊ฐ ๋๋ฌด ๋นจ๋ผ์ ๋ณดํต ์ ๊ฐ์๋ฐ์ ์์กดํ์ง ๋ชปํจ.
Treatment options
- Surgery or radiation : ์์ ์ ๊ตญ์์ ์ ๊ทผ์ด๋, ํ๋ก์ ์ ์ด๋ ๋ง์ ์ ์์.
- Chemotherapy : Carboplatin (๋ฐ์ < 30%)
- ๋ ์ฑ์ ๋์ผ๋ ์น๋ฃ ํจ๊ณผ๋ ๋ณ๋ก ์์. ์น๋ฃ๋ฅผ ๊ถํ์ง ์๋ ์ข ์ ์ค ํ๋.
- ์ ์ ์น๋ฃ๋ฅผ ํ๋ฉด์๋ ๋ถ์์ฉ์ด ๊ฑฐ์ ์๋ ๋ฐฑ์ ์ด ์ต๊ทผ ๊ฐ๋ฐ๋จ โ
๋ฐฑ์ - Immunization with Xenogeneic Human DNA (์ด์ข Human DNA ์ด์ฉ)
- Gene for human TYROSINASE inserted into DNA plasmid
- ์ด๋ฆ์ ๋ฐฑ์ ์ด์ง๋ง ์๋ฐฉ์ด ์๋๋ผ ์น๋ฃํ๋ ๋ฐฑ์ (=๋ฉด์ญ ์ ๋ฐ)
- Encoding tyrosinase family proteins
- Melanin์ ๋ง์ด ๋ถ๋นํ๋ ์ฃผ๋ฒ์ธ, melanoma ์ธํฌ ํ๋ฉด์ ๋น๋จ๋ฐฑ์ง(tyrosinase)์ ๊ณต๊ฒฉํ๋๋ก ์ ๋ํ๊ธฐ ์ํด genogenic(์ด์ข )์ human DNA๋ฅผ ๊ฐ์๊ฒ ์ ์ข ํจ.
- ์ฌ๋๊ณผ ๊ฐ์ tyrosinase๋ ๋งค์ฐ ๋น์ทํจ. ๊ฐ์ DNA๋ฅผ ๋ฃ์ผ๋ฉด ๋์ข ์ด์ด์ ๋ฉด์ญ ํ์ฑ์ด ์ ๋์ง๋ง, ์ฌ๋์ tyrosinase๋ฅผ vector์ ๋ผ์์ ์ฃผ์ฌํ๋ฉด ์ด์ ๋ํ ํญ์ฒด๋ฅผ ๋ง๋ค์ด๋ด๋๋ฐ, ๋งค์ฐ ๋น์ทํด์ ๊ฐ์ tyrosinase๋ ๊ฐ์ด ๊ณต๊ฒฉ๋จ.
- ๋์ ์์ค์ผ๋ก ๊ณผ๋ฐํ๋ tyrosinase๋ง ๊ณต๊ฒฉํ์ง๋ง, ๋ฎ์ ํ๋ฅ ๋ก ๋ฐฑ๋ฐ์ฆ ์๊น.
ํญ์์ ์ ๊ตฌ๋ถ
- 1์ธ๋ - ์ผ๋ฐ ํญ์์ . ๋นจ๋ฆฌ ์๋ผ๋ ์ธํฌ๋ฅผ ๊ณต๊ฒฉ. ๋จธ๋ฆฌ์นด๋ฝ๋ ๊ณต๊ฒฉํด์ ๋จธ๋ฆฌ๊ฐ ๋น ์ง๊ณ , GI ์ชฝ ์ธํฌ๋ค๋ ๊ณต๊ฒฉํด์ ์์ผ๊ณผ ์ฅ์ผ. ๊ณจ์๋ ๊ณต๊ฒฉํด์ ๋ฉด์ญ ์ ํ, ๋นํ.
- 2์ธ๋ - ํ์ ํญ์ ์น๋ฃ์ . tyrosine-kinase inhibitor์ด๋ผ๋ signal์ ํ๊ฒ์ผ๋ก ํจ. ์ ์์ธํฌ์ ์ํฅ ๊ฑฐ์ ์์.
- 3์ธ๋ - ๋ฉด์ญ ํญ์ ์น๋ฃ. ๋์ด๊ฐ ๋ค๋ฉด์ ์์ธํฌ๋ฅผ ์์จ ๋งํผ ๋ฉด์ญ์ด ์ผํ์ง ๋ชปํจ. ์ข ์์ ์ธ์งํ์ง ๋ชปํ๊ฒ ํ๋ signal์ ์์ ์ฃผ๋ฉด, ๋ค์ ์๊ธฐ ๋ฉด์ญ๋ ฅ์ผ๋ก ์์ธํฌ๋ฅผ ์น๋ฃํ ์ ์์.
์ง๊ธ ๋ฐฐ์ด ๋ฐฑ์ ์ด ๊ฐ์์ ์ ์ผํ๊ฒ ์น์ธ๋ ๋ฉด์ญ ํญ์ ์น๋ฃ์ .
Link to originalMelanoma vaccine in dogs
Onceptยฎ (MERIAL ํ์ฌ)
Immunotherapy (๋ฉด์ญ์น๋ฃ) : ์๋ฐฉ์ด ์๋๋ผ ์น๋ฃ ๋ชฉ์ (treat, not prevent)
๊ตฌ๊ฐํ์์ข ์ค stage โ ก ๋๋ โ ข ์ ์ ์ฉ
๋ถ์์ฉ์ด ๊ฑฐ์ ์์ผ๋ฏ๋ก ์ํ๋ค๋ฉด ์จ๋ ๋ฌด๋ฆฌ ์์..
Indications (*No contraindications)
- ์์ ์ ์ ์ , ๋ฐฉ์ฌ์ ์น๋ฃ ์ดํ
- ์ ์ด๊ฐ ์๊ณ , ๋์ ๋ณด์ด๋ ๊ตญ์ ๋ณ๋ณ์ด ์๋ ์ํ์์ ํจ๊ณผ๊ฐ ์ข์
Side effects : ๊ฑฐ์ ์์ (๋๋ฌผ๊ฒ ์ฝํ ๋ถ์์ฉ - redness, swelling, mild pain)
- Dosing : 2์ฃผ ๋จ์๋ก 4๋ฒ Induction โ 6๊ฐ์์ 1๋ฒ Boosting
๋น์ฉ : Induction์ 300๋ง์ ์ ๋ (+ boosting : ํ๋น 70)
- ์น๋ฃ ํจ๊ณผ : ์์กด๋ฅ ์ด ์ ์๋ฏธํ๊ฒ ์ฆ๊ฐ (์น๋ฃํ ๊ฐ์ 75%์์ 15๊ฐ์ ์ด์ ์์กด)
- ๋ฐฑ์ ์ ๋ง์ง ์์ ์ํ์์๋ maximum 3-6๊ฐ์
- ๊ตฌ๊ฐ์ด ์๋ ๋ค๋ฅธ ์ ์ฑ ์ข ์์์๋ ํจ๊ณผ๊ฐ ์์.
- ํนํ Nail bed, skin์์ ๋ฐ์ํ ์ข ์
- ์์ โ 1๋ ์์กด, 2๋ ์ด์ ์์กด๋ฅ 10%
- ์์ +๋ฐฑ์ โ 500์ผ ์์กด, 50% 2๋ ์ด์ ์์กด๋ฅ 50%.
3-2. Oral Cavity Neoplasm in Cats
Etiology
- Less common in cats : ๊ณ ์์ด์์ ์ข ์ ๋ฐ์์ ์๋์ ์ผ๋ก ๋๋ฌผ์ง๋ง
- Almost all malignant : ๋ฐ์ํ๋ฉด ๋๋ถ๋ถ ์ ์ฑ (SCC 7-80%)
- ๊ตฌ๊ฐ์ ํฌ๊ธฐ๊ฐ ์์ ๋ฐ๊ฒฌ์ด ์ด๋ ค์ธ ์ ์์ - ์น์์ ํ ์ฌ์ด, ๊ฒฝ๊ตฌ๊ฐ, ํ๋ฟ๋ฆฌ ์๋, ํธ๋ ์์ชฝ ๋ฑ์์ ๋ฐ๊ฒฌ๋จ.
Clinical Features
- Dysphagia, halitosis(๊ตฌ์ทจ), anorexia, bleeding
Diagnosis
- Large, deep biopsy : ์ต๋ํ ๊น์ ๋ถ์์์, ์ต๋ํ ๋๊ฒ ์ ์ ํ์ฌ ๊ฒ์ฌํ๋ ๊ฒ์ด ์ข์
Treatment
- Surgical excision & Radiation therapy +/- chemotherapy [ํญ์์ ๋ carboplatin]
- ์์ ํ ๋ฐฉ์ฌ์ ์น๋ฃ ๋ฐ ํญ์ ์น๋ฃ๋ฅผ ๋ณํํ ์ ์์ผ๋.. ํจ๊ณผ๋ ํฌ๊ฒ ์์.
- ์ข ์ ์์น๊ฐ ์ข์ง ์์ ์๋ฒฝํ ์ ์ ๊ฐ ์ด๋ ค์ด ๊ฒฝ์ฐ(incompletely excised) ๋ณ์ฉํ๊ธฐ๋ ํจ. (์ํ๋ ๋ถ๋)
Prognosis
- SCC โ ๊ฑฐ์ ์์กด ๋ถ๊ฐ๋ฅ (guarded to poor)
1.4 Gingivitis(์น์ฃผ์ผ) & Periodontitis(์น์์ผ)
- ์น์์ผ๊ณผ ์น์ฃผ์ผ - ์ฐ๊ดํ์ฌ ๋ง์ด ๋ฐ์.
Etiology
- Dental tartar (์น์์ ์ํด ์ฃผ๋ณ ์กฐ์ง์ ์ผ์ฆ ๋ฐ์)
- ์นํ(plaque)๋ ์์น๋ก ์ ๊ฑฐ ๊ฐ๋ฅํ์ง๋ง, ์นํ๊ฐ ๊ตณ์ด์ ๋จ๋จํด์ง๋ฉด ์น์(tartar) โ ์ด๊ฑด ์ค์ผ์ผ๋ง์ผ๋ก ์ ๊ฑฐํด์ผ ํจ
- ๊ณ ์์ด๋ FeLV, FIV, FCV์์๋ ๋ฐ์ (๋ฉด์ญ ์ ํ ์ ๋ฐ โ ์ ์์ ์ธ ๊ตฌ๊ฐ ์์ฌ๊ท ์ ์ํด์๋ ์ผ์ฆ ๋ฐ์)
Clinical Features
- Asymptomatic
- Halitosis(๊ตฌ์ทจ), oral discomfort, refusal to eat
- Dysphagia
- Drooling (์นจํ๋ฆผ)
- Tooth loss, gums hyperemia, gingival recession (๋ง์ฑ์ ์ธ ๊ฒฝ์ฐ ์น์ ํด์ถ๊น์ง)
Diagnosis
- Dental X-ray โ ๋จ์ ์น์์ผ vs ์น์ฃผ์ผ+์น์์ผ ๊ตฌ๋ณ
- Dental probing โ ๋๊ธ์ผ๋ก ์น์์ ํด์ถ ์ ๋ ์ธก์
Treatment
- ์ค์ผ์ผ๋ง (Scaling) โ tartar removal, crown polishing (์ฐ๋ง์ )
- ์น์์ ์ ๊ฑฐํด์ ์ค๋ชฉํด์ง ์๋ฆฌ๋ฅผ ๊ทธ๋๋ก ๋๋ฉด ์น์์ด ๋ ์ฌํ๋ ์ ์์ผ๋ฏ๋ก, ์ฐ๋ง์ ๋ฅผ ํด์ฃผ๋ ๊ฒ์ด ์ข์.
- ํญ์์ (ํ๊ธฐ์ฑ ์ธ๊ท ) : Amoxicillin, Clindamycin, Metronidazole
- ์ ์์๋ ํ๊ธฐ์ฑ ๊ท ๋ค์ด ๋ง์. ๋ง๋ ํญ์์ ์จ์ผ ํจ!!
- ๊ท์น์ ์ธ ์์น
- Oral rinsing with chlorhexidine(0.12~0.2%๋ก ๋งค์ฐ ํฌ์) [ํฅ์ฌ๋ฉ๋; 0.12% chlorhexidine]
- +/- Tooth extraction (์น์ฃผ์ผ์์๋ ๋ฐ์น๋ ํ์ํ ์ ์์)
Prognosis
- ์ข์
1.5 Stomatitis (๊ตฌ๋ด์ผ)
Etiology
- ์น์, ์๋ชธ์ ๋์ด ๊ตฌ๊ฐ ์ ๋ง ์ ๋ฐ์ ํผ์ง ๊ฒฝ์ฐ
- ์ ์์ ๋ชจ๋ ๊ณต๊ฐ์ ์๊ธฐ๋ ์ผ์ฆ
- ์ ์ ์ ์ฒด์ ๋ฌธ์ ์ผ ๊ฐ๋ฅ์ฑ์ด ๋์
์์ธ (BOX 31-1)
- Renal failure(์ ๋ถ์ ) : (์๋ ์ฆ, ๋ ์๊ฐ ์ ๋ง์ ๊ณต๊ฒฉ) โ ์ ๋ถ์ ์ ์น๋ฃ
- Trauma : ์ ๋ง์ ์์ฒ, ์ผ์ฆ
- ์ด๋ฌผ, Chewing or ingesting, ์ ์ ์ ์น์ด๋จน์ (โ ์ ์ ํ์, ํ์์ข ๊น์ง ์ฌ ์ ์์)
- Immune-mediated disease : ๋ฉด์ญ๋งค๊ฐ์ฑ ์งํ ์ ์
์ ์ ๋ง์๋ ์ํฅ ๊ฐ๋ฅ
- Pemphigus, Lupus (SLE, DLE)
- Canine chronic ulcerative stomatitis (CCUS)
- ์ ์์ ๊ท ์ ๋ํ ๊ณผ๋ํ ๋ฉด์ญ โ ํญ์์ +๋ฉด์ญ์ต์ ์ ๋ฅผ ํจ๊ป ์จ์ผ ํจ.
- ์๋ Chronic ulcerative paradental stomatitis (CUPS) ๋ก ๋ถ๋ ธ์ผ๋, ์ต๊ทผ ์ด๋ฆ ๋ณ๊ฒฝ.
- Maltese, CKCS
- ๋ฉด์ญ ๊ด๋ จ์ ์์น๊ฐ ์ ์์, but ์ ๋ฐ์น ํ๋ฉด ํ์คํ ํธ์ ๋จ. (์ฝ๋ฌผ๋ก๋ ํฐ ํธ์ ์ด ์ด๋ ค์ด+๊ฐ ๋ถ๋ด)
- Feline chronic gingivostomatitis (FCGS) : ๋ง์ฑ ์น์ ๊ตฌ๋ด์ผ
- ๊ณ ์์ด์ ๋ง์ฑ ์น์ ๊ตฌ๋ด์ผ์ ๋ฐ์ด๋ฌ์ค์ ์ํด ๋ฐ์.
- FeLV(leukemia virus), FIV(immunodeficiency virus)
- ๋ฐ์ด๋ฌ์ค๋ ํน๋ณํ ์น๋ฃ๋ฒ์ด ์์ด์ ์ํ๊ฐ ๋ ์ข์ง ์์. (๋์ฆ์น๋ฃ๋ง)
- ์ฒ์๋ถํฐ ์ ๋ฐ์น๋ฅผ ์๊ฐํ๊ณ ์น๋ฃ๋ฅผ ์์.
- Upper respiratory virus (FURD, ๊ณ ์์ด ์๋ถ ํธํก๊ธฐ๊ณ ๊ฐ์ผ์ฆ) : FHV-1 (feline viral rhinotracheitis), FCV
- Tooth root abscesses (์น๊ทผ๋จ ๋์) : ๋ถ๋ฆฌ์ ๋์ด ์ฐจ ์ฃผ๋ณ ์กฐ์ง์ด ์ฉ์ โ ์ด๋นจ์ ์ ๊ฑฐํ๊ณ ..
- Severe periodontitis : ์น์ฃผ ์ฃผ๋ณ ๋ผ๊น์ง ๋ฒ์ ธ ์ ๋ง๋ ์ํฅ
- Osteomyelitis(๊ณจ์์ผ) : ์ ์ ๋ณ์ญ๋ฐ์ ์ ๋ฐํ์ฌ ๊ตฌ๊ฐ ์ ๋ง ์ผ์ฆ
- Thallium intoxication : ์ด์์ ๋ก ์ข ์ข ์ฌ์ฉ๋๋ ์ค๊ธ์, ์ธํฌ๋ ์ฑ์ด ์๊ธฐ ๋๋ฌธ์ ๊ตฌ๋ด์ผ ์ ๋ฐ. ํํ์ ํ์
๊ฐ์์ง๋ ์ธ๊ท ์ ์ํด, ๊ณ ์์ด๋ ๋ฐ์ด๋ฌ์ค์ ์ํด!
Clinical Features
- Thick ropey saliva : ์นจ์ ์ ์ ์ผํค๊ณ ๊ณ ์ฌ์๋ค๊ฐ ํ๋ฌ๋์์, ๋๊ป๊ณ ๋์ ๊ฑฐ๋ฆฌ๋ ์นจ์ ํ๋ฆผ.
- Severe halitosis : ๊ตฌ์ทจ๊ฐ ๋งค์ฐ ์ฌํจ.
- Anorexia, Febrile, Lose weight : ๋ฐฅ์ ๋จน์ง ์๊ณ , ์ด์ด ๋จ.
Feline Calicivirus
- ๋ผ์ง์์ calicivirus๋ ์ํฌ์์ฃ ?
- ๊ณ ์์ด๋ calici โ ์ํฌ์ฑ ๊ตฌ๋ด์ผ. ์ํฌ๊ฐ ๋ค ํฐ์ง๊ณ ๋์ ํ์ ์ผ๋ก ๋จ์ ์ฑ๋ก ๋ณ์์ ์ค๋ ๊ฒฝ์ฐ๊ฐ ๋ง์.
Diagnosis
- Anesthesia โ Oral examination : ์ ์ ๊ตฌ์๊ตฌ์ ๋ณด๊ธฐ ์ํด ์ ์ ๋ง์ทจ
- Biopsy, Dental X-ray
- ์ธ๊ท ๋ฐฐ์์ ํฌ๊ฒ ๋์๋์ง X
Treatment
- Teeth cleaning
- Antibiotics
- FCGS(๊ณ ์์ด ๋ง์ฑ ์น์ ๊ตฌ๋ด์ผ)๋ ์น๋ฃ๊ฐ ์ด๋ ค์ โ ๊ทธ๋๋ ์๋ํด๋ณผ ์ ์๋ Bovine lactoferrin(๋ฉด์ญ ํฅ์), FeIFN-omega
- ์ ๋ฐ์น โ ์ถ์ ์ง์ด ํจ์ฌ ํฅ์, ์ํ ์ข์ (Full-mouth extraction, FME)
- ํญ์์ ๋ ๋ฉด์ญ ์ต์ ์ ์๋ ๋ฐ์์ด ์์ผ๋ฉด, ๋ง์ฑ์ผ๋ก ๊ฐ์ฃผํ๊ณ ์ ๋ฐ์น ์งํ
Prognosis
- ์์ธ์ด ๋ช ํํ ๊ฒฝ์ฐ (์ด๋ฌผ, ์๋ ์ฆ ๋ฑ) โ ์์ธ ์ ๊ฑฐํด์ฃผ๋ฉด ์ํ ์ข์!
- ๋ฉด์ญ ๊ด๋ จ ๋ง์ฑ ๊ตฌ๋ด์ผ โ ๋๋ถ๋ถ ์ํ๊ฐ ์ข์ง๋ ์๊ณ , ์ฌ์ค์ ์ ๋ฐ์น๋ก ์งํ
1.6 Congenital esophageal weakness
= ์ ์ฒ์ ๊ฑฐ๋์๋์ฆ. (Congenital megaesophagus) ๊ทผ์ก์ ๋ฌด๋ ฅ์ฆ์ผ๋ก ์ถ ๋์ด์ ธ ์๋ ์ํ.
Etiology
- Unknown
- ๊ฐ์์ ๋ง์ด ์๊น.
- ๊ณ ์์ด์์๋ ์ ๋ฐ์ํ์ง ์๊ณ , ๋ฐ์ํ๋๋ผ๋ ์ฝ๋ฌผ ์น๋ฃ ๋ฑ์ ์ํ๊ฐ ์ข์.
๊ณ ์์ด์์ ์ ๋ฐ์ํ์ง ์๋ ์ด์ ?
๊ฐ๋ skeletal muscle - skeletal muscle
๊ณ ์์ด๋ skeletal muscle - smooth muscle
- ๊ฐ๋ก๋ฌด๋ฌ๊ทผ(๊ณจ๊ฒฉ๊ทผ, ์์๊ทผ), ํํ๊ทผ(๋ด์ฅ๊ทผ, ๋ถ์์๊ทผ)
- ๊ฐ๋ ์๋์ ๋๋ถ๋ถ์ด ๊ณจ๊ฒฉ๊ทผ์ผ๋ก ๋จ โ ์ ๊ฒฝ ์ ๋ฌ์ ์ํด ์์ง์ผ ์ ์์.
- ๊ณ ์์ด๋ ์๋์ ๋ค์ชฝ์ด ํํ๊ทผ์ผ๋ก ์ด๋ฃจ์ด์ง, ๋ถ์์์ ์ผ๋ก ์์ถ์ํค๊ธฐ ๋๋ฌธ์ ๊ฑฐ๋์๋์ฆ์ด ์ ๋ํ๋์ง ์๊ณ , ํํ๊ทผ์ ์ฐ๋ ์ฝ๋ฌผ์ด ์์ด ์ฝ๋ฌผ ๋ฐ์๋ ์ข๋ค.
Clinical Features
Vomiting> Regurgitation (ํ ์ถ) : ๊ตฌํ ๋ผ ์๊ฐํ์ง๋ง ํ ์ถ์ด ๋ง์- Weight loss
- Coughing, fever : ์ค์ฐ์ฑ ํ๋ ด์ ์งํ.
- Aspiration pneumonia(์ค์ฐ์ฑ ํ๋ ด) - ์ฌ๋ง์ ์ฃผ ์์ธ. ์๋์ ๊ณ ์ฌ ์๋ค๊ฐ ํ๋ก ์๋ชป ๋ค์ด๊ฐ ์ ์์.
- ์๋๊ฐ ๋์ด์ ธ ์์ผ๋ฉด ์ค์ฐ ๊ฐ๋ฅ์ฑ์ด ํจ์ฌ ๋์์ง.
Vomiting vs. Regurgitation
- vomiting (๊ตฌํ ) : ์์ ๋ค์ด๊ฐ๋ค๊ฐ ๋ค์ ์ฌ๋ผ์ด
- regurgitation (ํ ์ถ) : ์์ ๋ค์ด๊ฐ๊ธฐ ์ ๊น์ง ๊ฐ๋ค๊ฐ ์ฌ๋ผ์ด (์๋์์)
Diagnosis
- X-ray : Generalized esophageal dilation w/o obstruction
- Obstruction : ํ์์ด ์์ด ์๋๊ฐ ํ์ฅ๋ ๊ฒฝ์ฐ๋ผ๋ฉด, ์ ์ฒ์ ๊ฑฐ๋์๋์ฆ์ด๋ผ ๋ถ๋ฅด์ง ์๋๋ค.
- PRAA (Persistent right aortic arch) ์๋ ๊ฐ๋ณ.
- Endoscopy : ์๋๋ด์๊ฒฝ ๋ถํ์. ๋ง์ทจํ๋ฉด ๋ ๊ทผ์ก ์ด์๋ ์ ์์.
#### Clinical features
- ์ด๋ฆฐ ๋์ด์ ์ฆ์ ๋ํ๋จ.
- Mild or intermittent (์ ์ฒ์ฑ์ด ๋ ์ํ ์ข์)
- Predisposition : Collies, Miniature Schnauzers, Great Danes, Dalmatians, Chinese Shar-pei, Irish Setter, Labrador Retriever
์ ์ฒ์ฑ์ด ๋ ์ํ๊ฐ ์ ์ข์ ๊ฒ ๊ฐ์ง๋ง..?
- ์ ์ฒญ์ฑ ์ํ๊ฐ ๋ ์ข๋ค.
- ์ด์ ๊ฐ ๋ฐํ์ ธ ์์ง ์์ง๋ง, ์ ๊ฒฝ์ ๋ถ์์ ๋ฐ๋ฌ์ ์ํ ๊ฒ์ด๋ผ๋ ์ถ์ธก. ์ด๋ฆด ๋ ๋ฐ์ํ ๊ฑฐ๋์๋์ฆ์ ๊ฐ์ง๊ณ ์์ผ๋ฉด ์๊ฐ์ด ์ง๋๋ฉด์ ๊ด์ฐฎ์์ง ๋๊ฐ ์๋๋ฐ, ์๋ง ์ ๊ฒฝ์ ์ฑ์์ ๋ฐ๋ฅธ ๊ฒ์ผ๋ก ์์ํ๊ณ ์์.
- ํ์ฒ์ฑ ๊ฑฐ๋์๋์ฆ์ ์ ๊ฒฝ-๊ทผ ์ ํฉ์ ๋ฌธ์ ๋ฑ์ ์ํ ๊ฒ์ธ๋ฐ, ์์ธ์ด ๋ฐํ์ ธ๋ ์น๋ฃ๊ฐ ์ด๋ ค์์ ์ํ๊ฐ ๋ ์ ์ข๋ค.
Treatment
- ๋์ฆ์น๋ฃ (cannot be cured)
- Regurgitation (์ญ๋ฅ) ์น๋ฃ
- Prokinetics (cisapride) : ์ด๋์ฑ์ ์ข๊ฒ ํด์ฃผ๋ ์ฝ. ๊ณ ์์ด์ ๋ํด ๋ฐ์์ด ์ข์. ๊ทธ๋๋ ๊ฐ์์ง๋ ์.
- H2 blocker (famotidine)
- ์๋ ์์ ์์์ด ๊ฐํ์์ผ๋ฉด ์ฉ๊ณ ์ผ์ฆ์ ์ผ์ผํด, ์ฐ์ฑ ๋ฌผ์ง์ด ์๋์ ๋จธ๋ฌผ๋ฌ ์ผ์ฆ์ ์ผ์ผํฌ ์ ์์.
- ํ์คํ๋ฏผ(์์ฐ ๋ถ๋น) H2 ์์ฉ์ฒด์ blocker โ ์ญ๋ฅ ์ ์ํ๊ธฐ๊ฐ์ ์์์ ๋ฐฉ์ง
- PPi (omeprazole) : ์์ฐ ์ต์ ํจ๊ณผ ๋ ์ข์.
- Sucralfate suspension : ํํ์ก
- ์ ๋ง์ ์ฝํ ํด์ ์ฆ๊ฐ์ ์ธ ํจ๊ณผ, ๊ทธ๋ฌ๋ ๋จ๊ธฐ์
- ๋ชจ๋ ์ญ์ทจ๋ฌผ์ ํก์๋ฅผ ์ฐจ๋จํ๋ฏ๋ก ๋ค๋ฅธ ์ฝ๊ณผ 30๋ถ ๊ฐ๊ฒฉ์ ๋ .
- Aspiration pneumonia (์ค์ฐ์ฑ ํ๋ ด) ๋ฐฉ์ง
- Prokinetics๋ ํจ๊ณผ O
- Upright feeding (Bailey chair, High chair)
- ์๋๊ฐ ๋์ด์ ธ ์๋ ์ํ์์ ๋์ฐ๋ฉด ์์ก์ด ๊ทธ๋๋ก ์ฌ๋ผ์ฌ ์ ์์.
- ์ค๋ ฅ์ ๋ฐ๋ผ ์์์ด ๋ด๋ ค๊ฐ ์ ์๋๋ก, ์ ๋์์ ๊ธ์ฌํ๊ณ ์ํ 5-10๋ถ ์ ๋ ์ฌ๋์ฒ๋ผ ์ ์์ธ ์ ์ง.
- ์ค์ฐ์ฑ ํ๋ ด๋ง ์กฐ์ฌํ๋ฉด ๊ฐ์ ๋ ์ฌ์ง๋ ์๊ณ , ์ค๋ ์์กดํ๊ธฐ ๋๋ฌธ์ ์ค์.
- Gastrostomy tubes : ์๋ก ์์ด ๊ธ์ฌ, ์ถ์ฒ๋์ง ์์.
Prognosis
- Unpredictable (๊ฐ์ ๋๊ธฐ๋ ํ์ง๋ง, ์์ธก ๋ถ๊ฐ)
- ๊ทธ๋๋ ์ ์ฒ์ฑ์ด ๋ ์ํ๊ฐ ์ข์ ํธ
- ์ค์ฐ์ฑ ํ๋ ด๋ง ์กฐ์ฌ!
1.7 Acquired Esophageal Weakness
Etiology
๋ค์ํ ํ์ฒ์ ์์ธ์ด ์๋ค.
- Myasthenia (๊ทผ์ก ๊ธฐ๋ฅ์ ๋ฌธ์ )
- Hypoadrenocorticism
- Severe esophagitis
- Hiatal hernia (์ ๋ด์ฉ๋ฌผ์ด ์๋๋ก ์ญ๋ฅํด์ ๋ฐ์)
- Anesthesia-associated reflux (๋ง์ทจ ํ ์์๋์กฐ์๊ทผ์ด ์ด๋ฆผ)
- Iatrogenic (doxycycline, clindamycin, ciprofloxacin ๋ฑ)
- Mast cell tumor (Histamine์ ๋ถ๋น)
- Fungal organisms (์ฐ๋ฆฌ๋๋ผ๋ ๊ฑฐ์ ์๊ณ , ๋ช์ง ํ๊ฒฝ์์ ์ฌ๋ ๊ฒฝ์ฐ)
- Myopathies/neuropathies
- Dysautonomia
- Dermatomyositis - Collies (2-3๊ฐ์ ์ฝ๋ฆฌ์์ ๋ํ๋๋ ์ ์ ์ฑ ํผ๋ถ๊ทผ์ผ, ์ฌ์ง๊ทผ์ก ๋ฌด๋ ฅ์ฆ์ด ๋ํ๋จ)
- Botulism, Tetanus
- Lead poisoning ๋ฑ๋ฑ
Predisposition
- predisposition : German shepherds, golden retrievers
- Idiopathic laryngeal paralysis (dog) : ์์ธ์ ์๋, ๋๋ฐ ๊ฐ๋ฅ
- ์ง๋ ์๋ฆฌ๊ฐ ๋ฌ๋ผ์ง. ์จ์ ์ ๋ชป ์ฌ์ด ๊ธ์ฌ ๊ฐ๋ฅ์ฑ ์์.
- polyneuropathy์ผ ๊ฐ๋ฅ์ฑ์ด ๋์ผ๋, ๊ฑฐ๋์๋์ฆ๋ ๋๋ฐ๋ ์ ์์. X-ray ํ์ธํด๋ณด๊ธฐ.
- Esophagitis (cat)
- ์ ๊ฒฝ๊ทผ์ ํฉ ์๋, ์๋์ ์ผ์ฆ์ด ์๊ฒจ์ ๋ฐ์ ๊ฐ๋ฅ.
- ํญ์์ (ํนํ doxycycline) - ์๋์ ํก์ฐฉํ์ฌ ์๋์ผ์ ์ ๋ฐํจ. ๋ฐ๋ผ์ ๋ฐ๋์ ๋ฌผ์ ์๋ค๋ก ๋จน์ฌ์ผ ํจ!
Clinical Features
- Primarily in dogs (์๋ ๊ทผ์ก ๊ตฌ์กฐ์ ์ฐจ์ด ๋๋ฌธ)
- Vomiting (actually regurgitation)
- ๋ณดํธ์๋ ํ ์ถ์ ๊ตฌํ ๋ก ์ค์ธํ ๊ฐ๋ฅ์ฑ์ด ๋์.
- Respiratory signs (cough) : ์ค์ฐ์ฑ ํ๋ ด์ ์ํด
- Weight loss : ๊ณ์ ์ ๋ฅ๋์ด ์์ผ๋ฏ๋ก ๋น์ฐํ ์ด์ด ๋น ์ง.
Diagnosis
- P/E (๊ตฌํ ๋ณด๋ค ํ ์ถ)
- X-ray (ํ์ ์์ด ์๋ํ์ฅ๋ง ์๋ ๊ฑด์ง ํ์ธ)
- Fluoroscopy (gastroesophageal reflux ํ์ธ)
- ์๋ ํญ๋ชฉ๋ค๋ก ๊ฒ์ฌ ๊ฐ๋ฅ, ๋ค ๋ฐฐ์ ๋๋ฉด idiopathic
| ์ง๋จ ๊ฒ์ฌ | R/O |
|---|---|
| Acetylcholine receptor antibodies titration (MG : AchE receptor์ ํญ์ฒด๊ฐ ๋ถ์ด ์์ธํธ์ฝ๋ฆฐ ๋ฐ์ ์ ํ) | โ ๋ฉด์ญ๋งค๊ฐ์ฑ myasthenia gravis |
| * Tensilon test : ์์์ฑ ๊ฐ๋ฅ์ฑ ๋๋ ๋น์ฉ ๋ถ๋ด์ผ๋ก ์ธํด ์น๋ฃ ๋ชฉ์ ์ ์ง๋จ์ ํ๊ณ ์ถ๋ค๋ฉด. | |
| Resting serum cortisol | โ Occult hypoadrenocorticism |
| Electromyography | โ Generalized neuropathies / myopathies |
| Dysautonomia (์์จ์ ๊ฒฝ๊ณ ์ด์์ฆ ๊ฒ์ฌ) | โ Dysautonomia |
| Thyroid panel ๊ฐ์์ ๊ธฐ๋ฅ์ ํ์ฆ์ด๋ฉด โ negative feedback์ผ๋ก TSH ๊ณ์ ๋ถ๋น. โ๏ธ Thyroxine ๋ฎ๊ณ (serum thyroxine, free thyroxine โ) โ๏ธ TSH (thyroid-stimulating hormone) ๋์ผ๋ฉด ๊ฐ๊ธฐ์ ํ์ง. | โ Hypothyroidism (dogs) |
Tensilon test (edrophonium test)
- Edrophonium์ 5-10๋ถ ์ ๋ ์งง๊ฒ ์ ์ง๋๋ ์ฃผ์ฌ์ .
- ๊ณผ๋ํ ์ด๋์ผ๋ก ํ๋ ฅ ์ํ๋ฅผ ์ ๋ฐํ ๋ค, ์ฝ๋ฌผ์ ์จ์ ๊ทธ ์ฆ์์ด ์ฌ๋ผ์ง๋ฉด MG๋ก ์ง๋จ.
- ํน์ Focal MG์์ ๊ฒฝ์ฐ ์ผ์์ ์ผ๋ก ๊ฑฐ๋์๋์ฆ์ด ์ํ๋จ.
Dysautonomia (๐ 1.10 ์์จ์ ๊ฒฝ๊ณ ์ด์์ฆ)
- ๊ต๊ฐ์ ๊ฒฝ & ๋ถ๊ต๊ฐ ์ ๊ฒฝ์ ๋ชจ๋ ์ด์์ด ๋ฐ์ but ์ฃผ๋ก ๋ถ๊ต๊ฐ ์ ๊ฒฝ์ ๋ฌธ์
- dilated colon, dry nose, dilated pupils, keratoconjunctivitis sicca, bradycardia
- ์ฆ์๋ ์ฃผ๋ก ๋ถ๊ต๊ฐ ์ ๊ฒฝ (์ถ๋, ์ฅ๊ธฐ ์ฐ์ถ ์ด๋, ์๋งฅ ์ ๋ฐ, ๋๋ฌผ) ๊ด๋ จ
: ์ฐ๋, ์ฅ๊ธฐ ๋์ด๋จ, ๊ฑด์ฑ ๊ฐ๊ฒฐ๋ง์ผ ๋ฑ- ๋จ ๊ต๊ฐ ์ ๊ฒฝ๋ ๊ฐ์ด ์ ํ๋๋ฉด์ ๋น๋งฅ์ด ์๋ ์๋งฅ์ด ์ฐพ์์ด.
Treatment
-
Localized myasthenia (Focal MG ์น๋ฃ)
- Anticholinesterase (edrophonium, pyridostigmine, neostigmine)
- Pyridostigmine์ ๊ฒฝ๊ตฌ์ ๋ก ๊ฐ๋ฅํ๊ณ 8์๊ฐ ์ ๋ ์ง์. ์น๋ฃ ๋ชฉ์ ์ผ๋ก ์ ์ฌ์ฉ.
- ๋ถ์กฑํ acetylcholine์ ์ฑ์์ฃผ๊ธฐ ์ํด ๊ณ์ ๊ฒฝ๊ตฌ์ ๋ก ๋ณต์ฉ
- ๋ฉด์ญ์ต์ ์ ์น๋ฃ (azathioprine, prednisolone) : ๊ทผ๋ณธ์ ์ธ ๋ฌธ์ ํด๊ฒฐ ์๋
- Anticholinesterase (edrophonium, pyridostigmine, neostigmine)
-
Gastroesophageal reflux (์ญ๋ฅ๋ก ์ธํ ์๋ ์์ ๋ฐฉ์ง)
- Prokinetic (cisapride 0.25mg/kg) : ์๋ ์ด๋์ฑ์ ๋์ฌ ์ ์ฒด๋์ง ์๋๋ก
- Antacid (์ ์ฐ์ , omeprazole 1-2mg/kg) : ๊ฐํ ์ฐ์ฑ์ ์คํ. ํญํ์คํ๋ฏผ์ ๋ณด๋ค PPi๊ฐ ํจ๊ณผ ์ข์.
-
Idiopathic โ conservative dietary therapy (์๋จ ์กฐ์ ์ด ์ ์ผ. ์์ ๋ฐฅ์ ๋จน์ด๊ฑฐ๋ ์ญ๋ฅ๋ฅผ ์ค์ด๋..)
-
Gastrostomy tubes : ์ฌํ ๋ ์ ์ฉํ ์ ์์ง๋ง, ํ์ง๋ง ๋ง์ทจ์ ์ํ reflux ์ฆ๊ฐ ๋๋ฌธ์ ์ํ
Prognosis
- ์ด๋ฆฐ ๊ฐ์์๋ ๋์์ง ์ ์์
- ๊ธฐ์ ์งํ์ด ๋ค์ํด์ ์ํ๋ฅผ ํ๋จํ๊ธฐ ์ด๋ ค์
- ์ํ ๋ถ๋ ์ธ์๋ก ํ๋จ
- Idiopathic ์ด์ง๋ง ์ ์ฒ์ฑ์ด ์๋.
- 13๊ฐ์ ์ด์์ ๊ฐ (์ ์ฒ์ ์ธ ์ ๊ฒฝ ์ด์์ผ๋ก ํ๋จํ๊ธฐ๋ ์ด๋ ค์)
- Aspiration pneumonia๊ฐ ์จ ๊ฒฝ์ฐ (ํ ๋ฒ ์ค์ฐ์ฑ ํ๋ ด์ด ์ค๋ฉด ๋ฐ๋ณต๋๋ ๊ฒฝ์ฐ๊ฐ ๋ง์)
- ์์ ์์ด ๊ธ์ฌ๋ฅผ ๊ณ์ํจ์๋ ๋ณ๋ก ๋ฐ์์ด ์์ผ๋ฉด. (ํจ๊ณผ์ ์ธ ์น๋ฃ๋ฐฉ๋ฒ์ธ๋ฐ..)
์๋๊ฐ ๋ง์ด ๋์ด๋ฌ์ผ๋ฉด ์ํ๊ฐ ์ ์ข์ ๊ฒ ๊ฐ์ง๋ง, ๋์ด๋ ์ ๋๊ฐ ์ํ์ ๊ฐํ ์๊ด ๊ด๊ณ๊ฐ ์๋ ๊ฒ์ ์๋๋ค
1.8 Esophagitis (์๋์ผ)
Etiology
- Gastroesophageal reflux (๋ง์ทจ ๊ณผ์ ์์) : ๋ง์ทจ ์ค ์์๋๊ด์ฝ๊ทผ์ด ๋น๊ต์ ๋นจ๋ฆฌ ์ด๋ฆฌ๊ณ , ์ ์ ๋ซํ๋ ๊ฒฝ์ฐ.
- ํนํ ๊ณ ์์ด์์ ๋ฐ์ํ์ง๋ง ์์ํ๊ธฐ๋ ์ด๋ ค์.
- Persistent comiting of gastric acid : ์์ฐ์ ๊ณผ๋ค ๋ถ๋น
- Esophageal foreign objencts : ์๋ ์ด๋ฌผ
- Pills (doxycycline๊ณผ ๊ฐ์ tetracycline ๊ณ์ด ์ฝ๋ฌผ, clindamycin, NSAIDs) : ์ฝ์ด ์๋์ ๋ถ์ด์ ์ผ์ฆ ๋ฐ์ ์ผ์ผํด.
- ๋ฐ์ด๋ฌ์ค๋ก ์ธํ ๊ฒ์ ์๋์ง๋ง ๋ ๋ฑ์ ์๋ฐฉํ๊ธฐ ์ํด ํญ์์ ๋ฅผ ์ฒ๋ฐฉ.
- NSAIDs๋ COX-1,2๋ฅผ ๋ชจ๋ ์ต์ ํ์ฌ ์์ฅ๊ด ๋ณดํธ ํจ๊ณผ๋ฅผ ๋จ์ด๋จ๋ฆผ โ ์์ด ์ฐ๋ฆผ.
- ์ฝ ๋จน๊ธฐ ์ ํ๋ก ๋ฌผ์ ๋จน์ด๋ ๊ฒ์ด ์ค์! ์๋์ผ ๋ฐฉ์ง ์ํด ์ ํ๋ก 7.5mL ๋จน์ฌ์ผ ํจ์ ๋ฐ๋์ ๊ณ ์ง.
- Causative agent (disinfectant) : ๋ฝ์ค ์ญ์ทจ ๋ฑ
Clinical features
- Regurgitation (ํ ์ถ)
- Anorexia, drooling (๋ฐฅ์ ์ ์ ๋จน์)
- Hyperemic / ulcerated mouth (์๋ ์ ๋ ๋ฝ์ค ๋ฑ์ ํ ํด๋๋ค๋ฉด, ์ ์ฃผ๋ณ์ ํ์ ๋ฑ)
Diagnosis
- History taking
- Plain & Contrast : Hiatal hernia, ์๋ ์ด๋ฌผ ํ์ธํ๊ธฐ ์ํด ์กฐ์ ์ดฌ์
- ์ฃผ์) ์ฃผ ์ฆ์์ด ๊ตฌํ /ํ ์ถ์ธ๋ฐ, Barium(์กฐ์์ )์ ๋จน์ด๊ณ ๊ตฌํ โ ์ค์ฐ๋ ์ ์์. ์ผํฌ์ฑ์ด ๋์ ํ ์นจ์ค์ด ํ์ ๋จ์. ํ ๋ ๋งค์ฐ ์ฃผ์๊ฐ ํ์.
- Esophagoscopy +/- biopsy (ํ์ง) : ํ์ฐฉ์ธ์ง ์ผ์ฆ์ธ์ง ํ์ธํ๊ธฐ์ ๋ด์๊ฒฝ ๊ฐ์ฅ ์ข์ + ์กฐ์ง ๊ฒ์ฌ๋ก ์๋์ผ ํ์ง
Treatment
- ์์ฐ์ ์คํ์ํค๊ธฐ ์ํด
- PPi (omeprazole, pantoprazole) : H2 blocker๋ณด๋ค ์ข์, ๋ง์ทจ ์ ์ฌ์ฉ!!
- Reflux๋ฅผ ๋ฐฉ์งํ๊ธฐ ์ํด
- Metoclopramide : IV, ์ ๋ฐฐ์ถ ์ด์ง(stimulates gastric emptying)
- Cisapride : only PO, ํจ๊ณผ๋ ๋ ์ข์ผ๋ ๊ตฌํ ๊ฐ๋ฅ์ฑ ์๋ ํ์์๊ฒ ๊ฒฝ๊ตฌ์ ์ฌ์ฉ ์ด๋ ค์, ๋ง์ฑ ํ์์์ ์ฌ์ฉ.
- ์์๋ ์๋๋ฅผ ๋ณดํธํ๊ธฐ ์ํด
- Sucralfate suspension : ์๋ ์ฝํ
- ์ผ์ฆ ์ต์ , ํํฐ ๋ฐฉ์ง ์ํด Corticosteroids
- (dogs) ๊พธ์คํ๊ฒ ์ฐ๋ฉด ๋น๋จ๋ ์ฌ ์ ์์ง๋ง ์์ฅ๊ด์ผ์ด ๊ฐ์ฅ ๊ธ์ฑ์ผ๋ก ์ด.
- (cats) NSAIDs ์ฐ๋ฉด ์์ฅ๊ด ์ผ์ฆ ๊ฐ๋ฅ์ฑ์ด ๋์, ์คํ ๋ก์ด๋๋ ๋น๊ต์ ์์ . prevent cicatrix โ ์๋์ ์ฝ์ด ๊ฑธ๋ ค cicatrix(๋ฐํ, ํํฐ) ์๊ธฐ๋ฉด ์๋ํ์ฐฉ์ด ์๊ธธ ์ ์๋๋ฐ, ์ด๋ฅผ ๋ฐฉ์ง.
- Antibiotics (์๋์ผ ์ ๋ฐ ํญ์์ ๋ง๊ณ )
- Gastrostomy feeding tube
- ์๋ ํ์ฅ์ surgical repair
Prognosis
- ์๋์ผ์ ์ ๋์ ๋ฐ๋ผ ๋ค๋ฅธ๋ฐ, ์ต๋ํ ๋นจ๋ฆฌ ๊ต์ ํด์ผ ์ํ๊ฐ ์ข์
- Early aggressive therapy
๊น๋ด2(A) - 1.9 Hiatal Hernia (์๋์ด๊ณต ํ์ฅ)
Etiology
- ์ ์ฒ์ ์ธ ํก๊ฒฉ๋ง ๊ฒฐ์. Sharpei์์ ๋ง์ด ๋ฐ์ํจ.
- Stomach prolapse : ํ๊ฐ๊ณผ ๋ณต๊ฐ์ ๋๋๋ ์์ ํ์๋ฅผ ํตํด ๋ณต๊ฐ ์ฅ๊ธฐ๊ฐ ํ๊ฐ์ผ๋ก ๋น ์ง. ํนํ ์์ ๊ฐ์ฅ ์๋ถ๋ถ์ธ ๋ถ๋ฌธ๋ถ(cardia)๊ฐ ์ ๋น ์ง. โ Gastroesophageal reflux
Clinical features
- Asymptomatic
- Regurgitation (primary sign) : ์์ผ, ๊ตฌํ ๋ณด๋ค ํ ์ถ๋ก ๋จผ์ ๋ํ๋จ
Diagnosis
- Plain radiographs : X-ray๋ก ์ฝ๊ฒ ์ง๋จ ๊ฐ๋ฅ.
- Positive-contrast esophagography
- Sliding type - ๋ณต์์ ๋ฐ๋ผ ํ๊ฐ์ผ๋ก ๋์๋ค ๋ณต๊ฐ์ ๋ค์ด๊ฐ๋ค ์๋ค๊ฐ๋ค ํ ์ ์์.
- ๋ณต๊ฐ์ ๋๋ฅด๋ฉด ํ์คํ๊ฒ ํ๊ฐ์ผ๋ก ๋น ์ ธ๋์ค์ง๋ง, ์กฐ์์ (barium)๊ฐ ์ค์ฐ๋๊ธฐ ์ฌ์์ ์กฐ์ฌํด์ผ.
- Endoscopy (ํ์์)

Treatment & Prognosis
- Surgical repair โ ์์ ํ๋ฉด ์ํ good
1.10 Dysautonomia (์์จ์ ๊ฒฝ๊ณ ์ด์์ฆ)
๋๋ฌด ์ง๋จ์ด ๋๋ฌผ๊ณ ์ํ๊ฐ ๋๋ฌด ๋๋น ์ ๋ฐ๋์ ์ฃฝ์ ๊ฒ. ํ์ง๋ง ์๊ณ ์์ด์ผ.
Etiology
- ์์จ์ ๊ฒฝ๊ณ ๊ธฐ๋ฅ์ idiopathic loss (๊ฐ์ค: Clostridial toxin)
Clinical features
๋๋ถ๋ถ ๋ถ๊ต๊ฐ ์ ๊ฒฝ ๊ธฐ๋ฅ ์ ํ์ ๋ฐ๋ฅธ ์ฆ์
- Megaesophagus, regurgitation ๊ฐ์ฅ ํํจ.
- Dysuria & ๋ฐฉ๊ด ํ์ฅ : ๋ถ๊ต๊ฐ ๊ธฐ๋ฅ ์ ํ๋ก ๋ฐฐ๋จ๊ฐ ์ ๋๋ ๋ฐฉ๊ด์ด ๊ฐ๋ ์ฐธ
- ๋ฐฉ๊ด์ด ๋์ด๋ ์๋๋ฐ, ๋ด์๋๊ด์ฝ๊ทผ์ ์กฐ์ฌ์ ธ ์์. โ ๋ฐฉ๊ด๋ฌด๋ ฅ์ฆ.
- ์๊ฐ์ด ์ง๋๋ฉด ์๋๊ด์ฝ๊ทผ์ด ๋์ด๋๋ ์ค์ค์ ์ธ์ง ๋ชปํ๊ณ ๋๋ ํ๋ฆผ.
๋ฐฉ๊ด๊ณผ ๊ด๋ จ๋ ์์จ ์ ๊ฒฝ๊ณ
๋ฐฉ๊ด์ ๊ต๊ฐ ์ ๊ฒฝ, ๋ถ๊ต๊ฐ ์ ๊ฒฝ, ์ฒด์ฑ ์ ๊ฒฝ์ ์ํด ์กฐ์ ๋๋๋ฐ, ์ค์ค์ ์ธ๋ ๊ฒ์ ๋ฐฐ๋จ๊ทผ๊ณผ ๋ฐฐ๋จ๊ด์ฝ๊ทผ์ ์ํด ์กฐ์ ๋จ.
- ๋ถ๊ต๊ฐ์ ๊ฒฝ์ ํ์ฑํ โ ๋ฐฐ๋จ๊ทผ ์์ถ, ๋ด์๋๊ด์ฝ๊ทผ ํ์ฅ.
- ๊ต๊ฐ์ ๊ฒฝ์ ํ์ฑํ โ ๋ฐฐ๋จ๊ทผ ์ด์, ๋ด์๋๊ด์ฝ๊ทผ ์์ถ.
- ์ฒด์ฑ์ ๊ฒฝ : ์ธ์๋๊ด์ฝ๊ทผ์ ์กฐ์ ํ์ฌ ์์ง๋ก ์กฐ์ .
- Mydriasis(์ฐ๋), PLR ๋ฐ์ ์์ค
- Dry mucous membrane : ์นจ, ๋๋ฌผ ๋ฑ์ด ์ต์ ๋์ด ๊ฑด์กฐ์ฆ (๊ฑด์ฑ ๊ฐ๊ฒฐ๋ง์ผ, ์ฝ ๋ง๋ฆ, ์นจ ์ ๋์ด)
- Poor anal tone (ํญ๋ฌธ ์ด๋ฆผ)
- ์ฒด์ค ๊ฐ์, ๊ตฌํ , ์์ ๋ถ์ง, constipation(๋ณ๋น, ๊ฑฐ๋๊ฒฐ์ฅ)
Diagnosis
- ์์ ์ฆ์ ์ค์
- Dysuria (๋ฐฐ๋จ๋ ํ๋ฃจ๋ง ๋ชป ํด๋ ๋ณ์ ๊ฐ์ผํจ)
- Dry mucous membranes(๊ฐ๊ฒฐ๋ง์ผ, ๋์ ๋ถ์ข )
- Abnormal PLR (๋ฐ์ ์์)
- Radiographs : multiple alimentary tracts ๋ค ๋์ด๋ ์์. (Esophagus-stomach-small intestine)
- ํ์ง : ์์จ์ ๊ฒฝ๊ณ ์ ๊ฒฝ์ ์ biopsy โ ํ์ ๊ฒฝ ํ์ธ. (์ด์์์ ๋๋ ๊ฒ์ฌํ๊ธฐ ์ด๋ ต๊ณ , ๋ณดํต ์ฌํ๋ถ๊ฒ์์ ์ง๋จ)
- ์ ์ ์ง๋จ ๋ฐฉ๋ฒ : Pilocarpine test & Bethanechol test
Pilocarpine test & Bethanechol test
๋ ๋ค ๋ถ๊ต๊ฐ ์ ๊ฒฝ์ ์ด์งํ๋ ์ฝ
pilocarpine test (์์ฝ ํ ์คํธ)
- ์ฐ๋ ํ์์์, ๋ถ๊ต๊ฐ ์ด์ ๋๋ฌธ์ธ์ง ๋ค๋ฅธ ์์ธ ๋๋ฌธ์ธ์ง ํ์ธ.
- ์ ๊ฒฝ์ด ๊ธฐ๋ฅ์ ์์ผ๋ ๊ทผ์ก์ receptor๋ค์ด ์๊ทน์ ๋ชป ๋ฐ์์ ์คํ๋ ค ๊ณผ๋ฏผํด์ง. โ ์์ฉ์ฒด์ ์๊ทน์ด ์กฐ๊ธ๋ง ์๋ ๊ณผ๋ฏผ๋ ๋ฐ์์ ๋ณด์ด๊ฒ ๋จ.
- 0.05% pilocarpine 1-2๋ฐฉ์ธ์ ์ ์์ ์ผ๋ก๋ ๋ฐ์์ด ์์ ๋งํผ ์ฐํ ๊ฒ. (์๋๋ 1-2% ์ฌ์ฉ)
- ํ์ง๋ง ๋ฐ์์ด ์์ผ๋ฉด ํ์ ๊ฒฝ์ ์ํด ๊ณผ๋ฏผ๋ ์์ฉ์ฒด๊ฐ ๊ณผ์ฅ๋ ๋ฐ์์ ๋ณด์ธ ๊ฒ.
bethanechol test (์ฃผ์ฌ์ ํ ์คํธ)
- ๋ฐฉ๊ด์ด ํ์ฅ๋๊ณ ๋ฐฐ๋จ๋ฅผ ๋ชป ํ๋ ๊ฐ์์, ๋ถ๊ต๊ฐ ์ด์์ผ๋ก ๋ฐฉ๊ด์ด ์์ถ๋์ง ๋ชปํด์ ์ค์ค์ ์ ์ธ๋ ๊ฑด์ง ํ์ธ.
- Bethanechol urinate 0.04mg/kg SC (์๋ ์ฐ๋ ๊ฒ๋ณด๋ค 1/10 ์์ค) โ ๋ง๋ค๋ฉด ๋ฐ๋ก ์ค์ค์ ์ผ๋ค.
- ์ด ์ญ์ ํ์ ๊ฒฝ์ ์ํด ๊ณผ๋ฏผ๋ ์์ฉ์ฒด๊ฐ ๊ณผ์ฅ๋ ๋ฐ์์ ๋ณด์ธ ๊ฒ์ผ๋ก ํ๋จ.
Treatment & Prognosis
- Bethanechol (์ ๋๋) : ๋ฐฐ๋จ๋ฅผ ๋๊ธฐ ์ํด (urinary evacuation)
- Gastric prokinetics : ๊ตฌํ ๋ฅผ ์ค์ฌ์ฃผ๊ธฐ ์ํด (lessen vomiting)
- Antibiotics : ์ค์ฐ์ฑ ํ๋ ด์ ์๋ฐฉ์ ์ํด (prevent aspiration pneumonia)
- Prognosis ; grim. ๋์ฆ ์น๋ฃ์ ๋ถ๊ณผํ ๋ฟ, ๊ฑฐ์ ๋ค ์ฃฝ์.
1.11 Vascular ring anomalies (VRA)
Etiology
- Congenital defects : ๊ฐ์์ ๋ง์ด ๋ฐ์ํ๋ ์ ์ฒ์ ๊ธฐํ. (rare in cats)
- Aortic arch๊ฐ ํ์ด๋ ๋๋ถํฐ ์์กด โ ์๋๊ฐ ๋ ์ ์์(trapping in a ring of tissue)
- most common - PRAA (Persistent right aortic arch)
Clinical Features
- Regurgitation (ํ ์ถ) : ๊ฑด์ฌ๋ฃ๋ฅผ ๋จน์ด๋ฉด 30๋ถ ์ด๋ด์ ์ํ ์ ๋ ํ ๋ฅผ ํจ.
- Coughing, dyspnea (aspiration pneumonia) : ์ด๋ฆฐ ๊ฐ์์ง๋ค, ๊ณ์ ๋จน๊ณ ๊ธฐ์นจํ๊ณ ํ๋ค๊ฐ ์ค์ฐ์ฑ ํ๋ ด
- ์ ๋์์ ๋จน๋ ์ด๋ฆด ๋๋ ์ฆ์์ด ์๋ค๊ฐ, ๊ณ ํ ์์ด๋ก ๋ฐ๊พธ๋ฉด์ ์ฒ์ ์ฆ์ ๋ฐ์
- ๋์ฆ์น๋ฃ๋ก ํญ๊ตฌํ ์ ๋ฅผ ๋จน์ด๊ณ ํ๋ค๊ฐ ์ง๋จ์ด ์ง์ฐ๋ ์ ์๋ค,,
Diagnosis
- Contrast esophagography : ์กฐ์ ์ดฌ์์ผ๋ก ํ์ง
- ์ฌ์ฅ ์์ชฝ ์๋๊ฐ ํ์ฅ / ์ฌ์ฅ ๋ค์ชฝ์ ์ ์
- Endoscopy : ์ ์ ํจ (์ฌ์ฅ์ base ๊ทผ์ฒ์์ extramural esophageal narrowing..)
Treatment & Prognosis
- anomalous vessel์ ์์ ์ ์ ๊ฑฐ
- ์์ ํ์๋ ์ฃฝ์ ๋จน์ธ๋ค (์๋์ผ ์ฃผ์)
- ์์ ํ๋ฉด ์ํ๋ ์๋นํ ์ข์. (improve dramatically)
- ๊ฐํน ์๊ตฌ์ ์ธ ์, ์๋ ์ ๋ง์ ์์์ด ๋จ๊ธฐ๋ ํจ (concomitant weakness) โ ์๋ ์์ชฝ์ด ๊ณ์ํด์ ๊ฑฐ๋์๋์ฆ์ผ๋ก ๋จ์ ์๋ ์์
---Canine-Melanoma/../../../../Settings/Attached-files/Pasted-image-20250424222345.png)